Ouragan Iota au Nicaragua : le plus puissant sur l'Atlantique en 2020 !
L'ouragan Iota a atteint la catégorie 5 le lundi 16 novembre avant de frapper ce 17 novembre le Nicaragua. Il est devenu le phénomène cyclonique le plus puissant de la saison sur le bassin Atlantique !
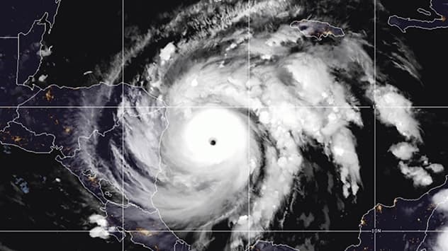
Le seul ouragan de catégorie 5 de la saison
Malgré une saison 2020 exceptionnellement active sur le bassin Atlantique, aucun ouragan n'avait jusqu'alors atteint la catégorie 5. Ce 16 novembre, Iota est devenu le premier ouragan à le faire.

Image satellite de l'ouragan Iota (catégorie 5) au large du Nicaragua le 16 novembre 2020 - via windy.com
Ce lundi 16 novembre, Iota est devenu le premier ouragan de catégorie 5 sur le bassin Atlantique en 2020. Son intensification fut remarquablement rapide puisqu'il est passé du statut de tempête tropicale à celui d'ouragan de catégorie 5 en l'espace de 36 heures seulement. Jamais une intensification aussi rapide n'avait été observée !
En plus de son statut d'ouragan le plus puissant sur l'Atlantique 2020, il est aussi l'ouragan de catégorie 5 le plus tardif jamais observé et le premier ouragan de catégorie 5 à porter un nom venant de l'alphabet grec (liste utilisée uniquement en cas d'épuisement de notre alphabet).

Les deux ouragans majeurs Eta et Iota frappant le Nicaragua à 2 semaines d'intervalle ! - via Jean Suriel
Traditionnellement, le mois de novembre est celui qui marque le déclin de la saison cyclonique dans le bassin Atlantique, qu'on s'estime s'achever à la fin de celui-ci. Cette année 2020 n'est décidément pas comme les autres : pour la première fois, deux ouragans majeurs ont été observés au cours du mois de novembre !
De plus, ces deux phénomènes majeurs ont frappé la même zone géographique. Il y a 2 semaines, l'ouragan Eta frappait le Nicaragua en catégorie 4 tandis que l'ouragan Iota frappe ce mardi 17 novembre le même pays en catégorie 5 ! Le sort s'acharne sur cette région du globe qui n'avait pas encore pansé ses plaies après le passage d'Eta.

Modélisation des rafales maximales au Nicaragua dans la nuit du 16 au 17 novembre 2020 - via meteorologix
Iota a touché terre au Nicaragua dans la nuit du lundi 16 au mardi 17 novembre 2020, frappant durement le nord-est du pays et particulièrement la région autonome de l'Atlantique-nord. Des rafales à plus de 200 km/h ont été enregistrées sur le littoral, notamment dans le secteur de Puerto Cabezas. Dans les terres, les rafales sur cette région ont atteint régulièrement 130 à 150 km/h avec des pointes de 160 à 180 km/h sur sa partie orientale !
Les vents générés par l'ouragan Iota faiblissent rapidement ce mardi 17 novembre avec le passage du phénomène au dessus des terres. Les plus fortes rafales migrent vers le Honduras, frappant notamment l'est du pays où elles dépassent encore nettement les 100 km/h.

Modélisation des cumuls de pluie causés par Iota jusqu'au jeudi 19 novembre 2020 - via meteorologix
Outre les vents violents, la pluie représente une menace majeure pour une large moitié nord du Nicaragua et pour l'est du Honduras. Des pluies diluviennes sont en cours et les cumuls en l'espace de 48 à 72 heures s'attendent à des accumulations pouvant atteindre 200 à 400 mm ! Avec des sols saturés en eau après le passage des pluies diluviennes de l'ouragan Eta il y a 2 semaines, on craint des inondations majeures dans les toutes prochaines heures.
Des conséquences dramatiques
Au Nicaragua, le passage de l'ouragan Eta (catégorie 4) avait fait beaucoup de mal. Les habitants ne s'attendaient pas à subir un phénomène encore plus puissant seulement 2 semaines plus tard...

Dégâts observés à Bilwi (Nicaragua) ce matin du mardi 17 novembre 2020 - via CD-Sinapred
Le réveil fut particulièrement difficile au Nicaragua ce mardi 17 novembre 2020. Dans la nuit, les vents violents à plus de 200 km/h ont causé de lourds dégâts, notamment sur la région autonome de l'Atlantique-nord (nord-ouest du pays).
De nombreuses toitures ont été arrachés, dont celle de l'hôpital provisoire de la ville qui n'est désormais plus fonctionnel. Les chutes d'arbres ont causé des dégâts multiples. Sur la frange littorale, l'onde de tempête a inondé de nombreuses habitations.

Inondations à Bilwi (Nicaragua) ce matin du mardi 17 novembre 2020 - via CD-Sinapred

Inondations dans la région du Rivas (sud-ouest du Nicaragua) ce 17 novembre 2020 - via Gerall Chávez
Maintenant que les vents les plus violents sont passés, c'est surtout la pluie qui est surveillée de très près. Elle devrait continuer de tomber en grandes quantités durant les 24 à 48 prochaines heures, apportant des inondations au Nicaragua mais aussi sur l'est du Honduras.
Il est beaucoup trop tôt pour pouvoir dresser un bilan précis des conséquences de l'ouragan Iota, tant sur le plan des dommages matériels que sur le plan des pertes humaines. Les prochaines heures seront encore très éprouvantes pour des habitants déjà épuisés par le passage de l'ouragan Eta qui avait fait près de 200 morts il y a 2 semaines.


