Cyclones Trevor et Veronica - suivi et prévision
Observations
Trevor, après avoir impacté la pénisule du Cap York, s'est régénéré dans le Golfe de Carpentarie.
A 2h TU, le cyclone a fini par toucher une deuxième fois terre avec une force de catégorie 4 à l'est de la ville de Borroloola. Les vents y ont été estimés à 250km/h en rafales. A 13h23TU, le cyclone a été rétrogadé en catégorie 1.

Image infrarouge de l'impact du cyclone Trevor sur les terres Australiennes
Ce cyclone a créé, selon le Bureau of Meteorology NT manager, Todd Smith, une marée de tempête* de 1m50 au niveau de l'oeil dans le Golfe de Carpentarie, ce qui a engendré une subersion marine dans les zones de basse altitude comme au niveau de l'Albert River.

Image sattelite canal visible de l'impact du cyclone Trevor sur les terres Australiennes
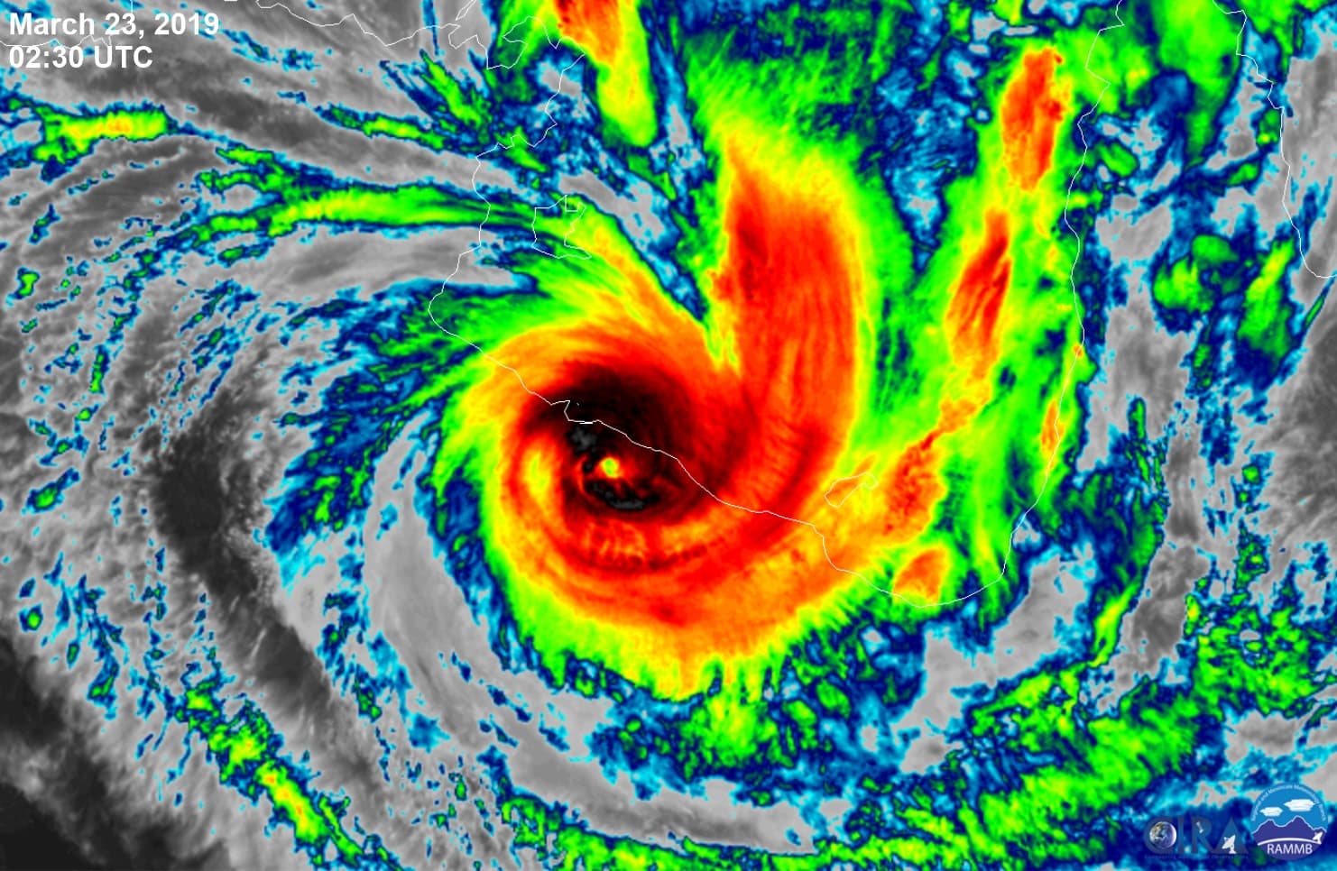
Veronica n'a, à l'heure actuelle, toujours pas touché terre mais atteint une force de catégorie 4 également. Son évolution sera à suivre durant les prochaines heures.
.jpg&w=1920&q=75)
Image MODIS/TERRA
Evolution prévue
Durant les prochaines heures, le cyclone Trevor sera très peu mobile et vite rétrogadé au rang de tempête tropicale. Des quantités de pluie importantes sont encore attendues dans cette région de l'intérieur du Golfe de Carpentie, de l'ordre de 250 à 300mm en 72h.

Son passage dans l'Outback (une région semi-désertique) donnera lieu à d'importantes pluies sur des régions peu habituées à ces intempéries, des inondations sont à prévoir durant les prochains jours.

Evolution des pluies du cyclone Trevor -zone orange/rouge au centre du pays- www.meteociel.fr
Veronica mettra 24h supplémentaires pour parcourir les 120km qui le séparent de la côte. L'oeill arrivera une nouvelle fois dans une région très peu habitée, à l'ouest de Port Hedland.
"Des vents de 165km/h sont attendus près du mur de l'oeil à l'approche des côtes" d'après le prévisionniste James Ashley.

Contrairement à son homologue Trévor, le cyclone Véronica s'assèchera très rapidement dans les terres en ne provoquant que de pluies mineures passé quelques dizaines de kilomètres de la côte avant de repartir en mer sous forme de dépression tropicale.

Animation Meteo-France montrant l'évolution de Trévor (à droite, Est), et de Véronica (à gauche, Ouest) durant les prochains jours
*Qu'est-ce qu'une marée de tempête?
Une marée de tempête n'est pas liée à la Lune comme les marées classiques mais à une dépression atmosphérique qui tend à aspirer l'eau comme une ventouse, et de la convergence des vents associée quiva concentrer l'eau en un même secteur.
Il s'agit d'un facteur aggravant des dégats côtiers engendrés par une tempête.

Schéma explicatif lié au cas du cyclone Katrina. >>
Dans le cas présent, un dôme d'eau d'une hauteur de 1m50 s'ajoute aux vagues et aux marées éventuellement présents au passage du cyclone Trévor.

